Item Detail

2011 FORD CROWNVIC 4DR SEDAN

4 DR, V8, AUTO, A/C, TILT, P/WDW, P/SEAT, P/LOCK

Specifications

Year
2011
Make
FORD
Model
CROWNVIC 4DR SEDAN
Serial Number
2FABP7BV2BX149462
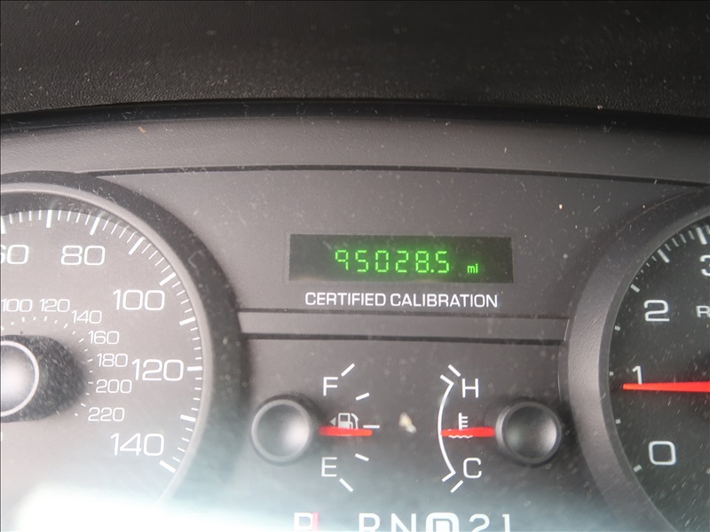
Odometer Reads
95,028

Functionality Test

  • Engine Starts
  • Turns Left
  • Turns Right
  • Stops
  • Reverses